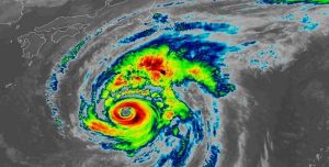
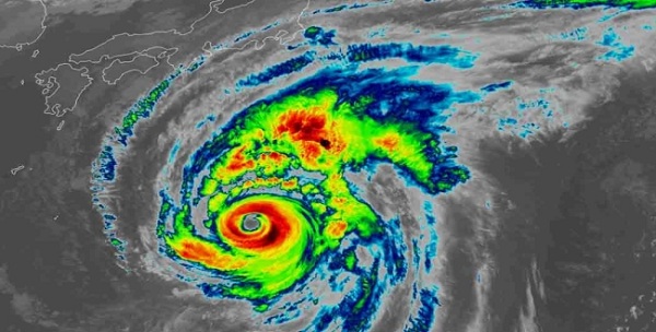
சக்திவாய்ந்த ஹகிபிஸ் புயல் இந்த வார கடைசியில் ஜப்பானைத் தாக்க இருக்கிறது. இந்த நிலையில், கடந்த 60 ஆண்டுகளில் இதுவரை இல்லாத மோசமான மழையை அந்த நாடு எதிர்க்கொள்ள இருப்பதாக தெரிவிக்கப்பட்டிருக்கிறது.
இயற்கை சீற்றங்களால் அதிகம் பாதிக்கப்படும் நாடாக விளங்கும் ஜப்பான் நிலநடுக்கம், புயல் போன்ற பல இயற்கை சீற்றங்கலால் எத்தனையோ முறை கடுமையான அழிவுகளை சந்தித்திருக்கிறது.
ஹகிபிஸ் புயல் இந்த வார இறுதியில் கரையை கடக்க உள்ளது. இந்த நிலையில், இதன் காரணமாக அதிகப்படியான கனமழை, அதிவேகமான மோசமான காற்று, நிலச்சரிவுகள் மற்றும் வெள்ளம் ஏற்படும் என்று அந்த நாட்டு வானிலை மையம் தெரிவித்திருக்கிறது.
ஜப்பானில் 1958 ஆம் ஆண்டு ஏற்பட்ட சக்தி வாய்ந்த புயலுக்குப் பின், அந்நாடு சந்திக்கப்போகும் மிகப்பெரிய புயலாக இது இருக்கும் என்று தெரிவிக்கப்படுகிறது.
இந்த எச்சரிக்கையைத் தொடர்ந்து ஜப்பான் அரசு முன்னெச்சரிக்கை நடவடிக்கைகளில் இறங்கியுள்ளதோடு, பொதுமக்களை போதிய முன்னெச்சரிக்கையுடன் இருக்குமாறு அறிவுறுத்தியுள்ளது. இதன் காரணமாக ஜப்பானில் அச்சமுடன் கூடிய பதட்டமான சூழல் நிலவி வருகிறது







